Thanks for joining our newsletter.

SEALED BID AUCTION: Former K. I. Sawyer Air Force Base – Property 13

Details

316 A Avenue 
Gwinn, Michigan 49841

Inspections

Thursday, July 28 9 am to 3 pm 
Thursday, August 4 9 am to 3 pm Check-in at the Airport Operations Building, 125 Ave G, Gwinn, to meet with auction company staff and review documentation on the properties. Other Times by Appointment

Bid Deadline

Wednesday, August 10 4:00 pm ET Sealed Bid Deadline

Share


Location

Details

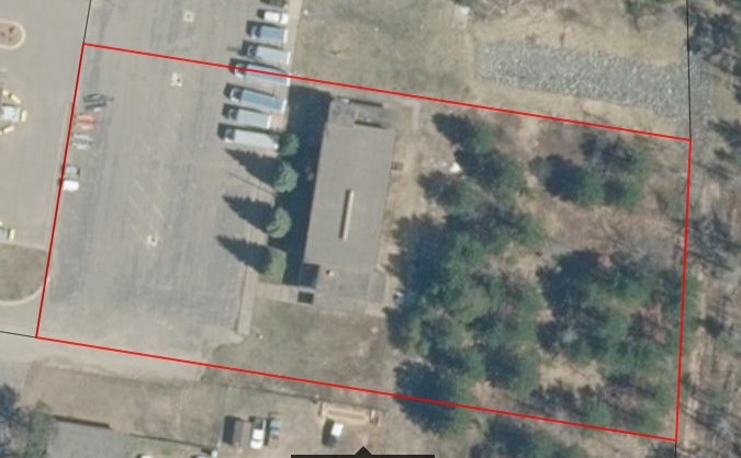
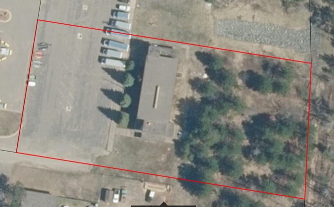
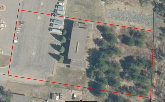
Property 13: Building 819, Old Movie Theater

5,810 Sq. Ft.

1.6 acres

Tax Parcel ID: 52-05-266-043-00


Property 13: Building 819, Old Movie Theater

5,810 Sq. Ft., 1.6 Acres

Located just 15 minutes southeast of Marquette, the largest city in the Upper Peninsula of Michigan, this two story cement block building was well known to all the movie-goers that served at K. I. Sawyer Air Force Base.

The property sits back from the road behind an automotive repair facility. It can be accessed from two driveways off of Avenue A. The property consists of the main building, large paved parking area and wooded area to the rear. Its large raised ceiling area makes it a perfect candidate to get repurposed into a shop or some other business that needs added ceiling height.

Current zoning is none specified, but the county is aware of the auction and is willing to work with a new owner if a zoning change is needed for a future use.

The parcel was once part of the K. I. Sawyer Air Force Base which shut down in 1995. Today, K. I. Sawyer is a thriving industrial park/airport with many major companies and families calling it home.

Additional information is available with the return of this completed release.

Other Properties offered in this Sale:
 

10% Buyers Premium. Sealed Bid Offers must be received Wednesday, August 10 at 4 pm ET, accompanied by a $2,500 earnest money deposit (cashier's check or wire) and a completed Sealed Bid Form. Bids must be sent via a traceable courier to Maas Companies Inc at 6923 10 Ave SW, Rochester, MN 55902. Sealed Bids are binding and non-revocable. Suggested Minimum Bid for this Property is $10,000. 
An additional (earnest money) deposit is due within 2 business days bringing the total monies in escrow to 20% of the purchase price. Balance due at closing within 30 days. Deposit monies are earnest monies and non-refundable. Deposits of non-winning bidders will be returned immediately following the auction. Attorney Thomas Clark will oversee the closing.

Selling Subject to Owner Confirmation and Subject to Prior Sale. Selling AS-IS, WHERE IS WITH NO WARRANTIES OR GUARANTIES EXPRESSED OR IMPLIED. See Bidder Kit for complete terms. 

All bids are subject to Sellers acceptance on or before Thursday, August 11 at 4:00 pm ET. Bidders will be notified of the Sellers decision in writing via email and/or by phone. 

In all transactions, Auctioneer is acting as an Agent for the Seller. Buyers are urged to inspect the property prior to purchase. Seller and Auctioneer are not responsible for items. All information received from reliable sources believed to be correct but not guaranteed by the Auction Company. Any announcement made/posted/published during the auction process takes precedence over any material published about this event. In the event of a dispute, Auctioneer has final decision.

Broker Participation is welcome but not required. A 2% commission will be paid to the licensed broker who, at time of registration, registers the bidder who pays for and settles for the real estate. To qualify a broker must attend one inspection with his/her client, assist as needed in the closing process and attend closing. A broker buying on his/her behalf, or on the behalf of any business entity in which he/she holds an interest on behalf of a family member or a family members business entity, is not entitled to a commission.

Re: SEALED BID AUCTION: Former K. I. Sawyer Air Force Base – Property 13

316 A Avenue 
Gwinn, Michigan 49841

Wednesday, August 10 4:00 pm ET Sealed Bid Deadline
To Whom It May Concern: Pursuant to your request, please sign and date this release to receive documents relating to the above noted property. The Seller did not prepare these documents and has no knowledge of their accuracy or completeness. None of the documents shall constitute a representation or warranty of any kind by Seller as to the accuracy or completeness of any information delivered. Accordingly, Seller expressly disclaims any responsibility therefor, including any consequences of any reliance by anyone on them. Please note that the documents and the information contained therein are confidential, and by acknowledging receipt, you agree to keep such information confidential and that you shall not, without the prior written consent of Seller, share any of the documents with anyone other than Potential Buyer and representatives of Potential Buyer who need such information for the purpose of evaluating the premises and who are informed of the confidential nature of the information and also agree to be bound by the terms of this confidentiality provision. By this acknowledgement, you further agree that you will return to me the originals and any copies of the materials forthwith upon demand if the contemplated transaction is not consummated. Please do not hesitate to contact our office with any questions you may have.